thinkSPAIN Logo
  • Køb

    Ejendomme til salg

    • Se alle ejendomme til salg
    • Start din søgning ved hjælp af vores filtre
    • Brug vores kortsøgning
    • Indgiv dit søgeområde

    Populære boligsøgninger

    Byhuse Fincas/Landehuse Lejligheder Villaer
    Elevator Have Havudsigt Luksus Nybygning Parkering/Garage Pool Terrasse / Altan
    Alicante Almería Barcelona Benahavís Calpe / Calp Calvià Cartagena Costa Blanca Costa del Sol Dénia Estepona Girona Gran Canaria Ibiza Los Alcázares Madrid Mallorca Marbella Mijas Murcia Málaga Orihuela Palma de Mallorca Tenerife Torrevieja Valencia
    Gennemse alle placeringer og ejendomstyper
  • Lej

    Ejendomme til leje

    • Se alle ejendomme til leje
    • Ferieudlejninger
    • Start din søgning ved hjælp af vores filtre
    • Brug vores kortsøgning
    • Indgiv dit søgeområde

    Populære lejesøgninger

    Byhuse Fincas/Landehuse Lejligheder Villaer
    Elevator Have Havudsigt Nybygning Parkering/Garage Pool Terrasse / Altan Udsigt over bjergene
    Alicante Almería Almuñécar Altea Barcelona Calvià Cartagena Costa Blanca Costa del Sol Dénia Estepona Gran Canaria Granada Ibiza Madrid Mallorca Marbella Murcia Málaga Orihuela Palma de Mallorca Tenerife Torre-Pacheco Torrevieja Torrox Valencia
    Gennemse alle placeringer og ejendomstyper
  • Jeg vil annoncere på thinkSPAIN

    Jeg leder efter en ejendomsmægler i:

    Alicante Almería Barcelona Castellón Cádiz Girona Granada Málaga Tarragona Valencia
    Se alle ejendomsmæglere
  • Kort / Indgiv dit område

    Brug vores interaktive kort til at finde ejendomme

    • Søg på kort
    • Indgiv dit søgeområde

    Populære kortsøgninger

    Alicante Almería Barcelona Benahavís Calpe / Calp Calvià Cartagena Costa Blanca Costa del Sol Dénia Estepona Girona Gran Canaria Ibiza Los Alcázares Madrid Mallorca Marbella Mijas Murcia Málaga Orihuela Palma de Mallorca Tenerife Torrevieja Valencia
  • Hvordan kan vi hjælpe dig?

    • Katalog over virksomheder og tjenester
    • Annonce-login

    Populære søgninger

    Advokater / jurister Realkreditmæglere Ejendomsmæglere Ejendomsadministration / vedligehold Valutamæglere Byggesagkyndige Arkitekter / Arkitektonisk design Skatterådgivere
thinkSPAIN Logo Ejendomme

Grunde uden byggetilladelser til leje i Pedanías, Albacete by, Albacete

  • € 600 / måned
  • 100 m2

€ 600 / måned Ref. 8727562

Ejendomme
Ref. 8727562
Ring
  • Grunde uden byggetilladelser til leje i Albacete by - € 600 (Ref: 8727562)
  • Grunde uden byggetilladelser til leje i Albacete by - € 600 (Ref: 8727562)
  • Grunde uden byggetilladelser til leje i Albacete by - € 600 (Ref: 8727562)
  • Grunde uden byggetilladelser til leje i Albacete by - € 600 (Ref: 8727562)
  • Grunde uden byggetilladelser til leje i Albacete by - € 600 (Ref: 8727562)
  • Grunde uden byggetilladelser til leje i Albacete by - € 600 (Ref: 8727562)
  • Grunde uden byggetilladelser til leje i Albacete by - € 600 (Ref: 8727562)
1/7

€ 600 / måned

Grunde uden byggetilladelser til leje i Pedanías, Albacete by, Albacete

  • 100 m2

Beskrivelse

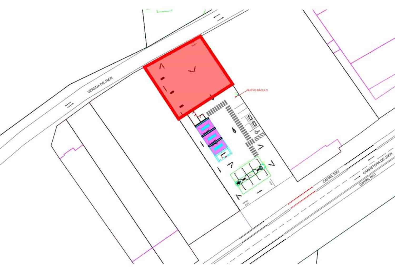
Grund til rådighed til bilvask ved nyåbnet tankstation! Der lejes en stor grund med en overflade på cirka 400 m², tilpasset efter de specifikke behov i dit projekt. Grunden tilbyder en strategisk beliggenhed med dobbelt adgang, fra den nationale vej N-322a, eller via den bageste vej, der forbinder med de nærliggende boligområder. Derudover har tankstationen toiletter til mænd og kvinder, tilpasset til personer med nedsat mobilitet, hvilket giver en ekstra service til kunder og brugere. Udnyt denne unikke mulighed for at placere din virksomhed i et område med stor synlighed og kundestrøm.

Placering

Pedanías, Albacete by, Albacete Placering leveret af annoncøren

Egenskaber

  • Grunde uden byggetilladelser
  • Bygningsstørrelse: 100 m2
  • Energieffektivitetsbedømmelse: I gang

Hvordan kan vi hjælpe dig?

Fandt du en fejl?

Fortæl os, hvad du har fundet for at rette det

Kontakt annoncøren

Hvordan kan vi hjælpe dig?

This field is required

Kontroller ovenstående fejl
+34 960 131 665

Ref. 8727562

Når du indsender denne formular, bekræfter du, at du accepterer vores brugervilkår og fortrolighedspolitik .

Del

Tilknyttede ejendomme

Byggegrund til leje i Los Montesinos - € 600 (Ref: 7889742) Grunde uden byggetilladelser til leje i La Aljorra, Cartagena - € 500 (Ref: 8838837) Grunde uden byggetilladelser til leje i Gata de Gorgos - € 500 (Ref: 9637585) Grunde uden byggetilladelser til leje i Albox - € 500 (Ref: 8830164)

Annonce

  1. Spanien
  2. Castilla-La Mancha
  3. Albacete
  4. Albacete by
  5. Pedanías
  6. Grunde uden byggetilladelser til leje i Pedanías, Albacete by - € 600 (Ref: 8727562)