- 1243 m2 Działka
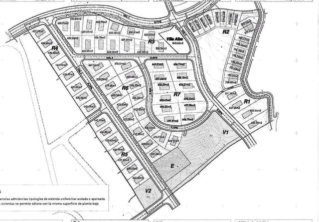
Działka urbanistyczna o powierzchni 1 243 m² z 402 m² zabudowywalnych na poziomie terenu (+ piwnica bez ograniczeń), idealna pod rozwój mieszkalny. Opcje promocji: Do 3 domów jednorodzinnych... Czytaj więcej
Działka urbanistyczna o powierzchni 1 243 m² z 402 m² zabudowywalnych na poziomie terenu (+ piwnica bez ograniczeń), idealna pod rozwój mieszkalny. Opcje promocji: Do 3 domów jednorodzinnych... Czytaj więcej
Na sprzedaż działka urbanistyczna w La Carihuela de Torremolinos, zaledwie 200 metrów od plaży. Działka gotowa pod zabudowę parterową + 2, z prawie 900 m2 powierzchni dachowej. 100%... Czytaj więcej
Aktualna działka ma powierzchnię 1.243 m2. Działka oferuje całkowitą możliwość zabudowy wynoszącą 402 m2 dachu, nie wliczając piwnicy, która może być budowana bez ograniczeń. Pozwala... Czytaj więcej
Działka 5 - Ta nieruchomość w Torremolinos wydaje się być wyjątkową okazją dla tych, którzy są zainteresowani budową niezależnego domku w dogodnej lokalizacji. Z powierzchnią 809 metrów... Czytaj więcej
Działka pod 1, 2 lub 3 domy jednorodzinne lub bliźniacze. Całkowita zabudowalność 402 m2 powierzchni użytkowej. Minimalna wielkość działki 400 m2. Proporcjonalne koszty urbanizacji: 96.850... Czytaj więcej
Strategiczne położenie na Costa del Sol Urbany teren położony w szybko rozwijającej się okolicy, w pobliżu: •Autostrada •Pałac Kongresowy •Które będzie największym centrum handlowo... Czytaj więcej
Szansa inwestycyjna grunt miejski w górach Sierra de Torremolinos o strategicznym położeniu, usytuowany w Sierra de Torremolinos, przylegający do osiedli El Pinar i Las Velas. Doskonałe... Czytaj więcej
Działka 4 - Ta nieruchomość w Torremolinos wydaje się być wyjątkową okazją dla tych, którzy są zainteresowani budową niezależnego domku w dogodnej lokalizacji. Z powierzchnią 773 metrów... Czytaj więcej
Sprzedawane są działki miejskie i urbanizowalne o wskaźniku zabudowy 40% w ekskluzywnej dzielnicy Pinar w Torremolinos, już od zaledwie 180 000 €. Te działki stanowią wyjątkową okazję dla... Czytaj więcej
Idealna działka budowlana do zbudowania domu marzeń w La Cañada de Los Cardos (Torremolinos). Położona między autostradą a N340. Strefa niezwykle spokojna, ale z doskonałą komunikacją... Czytaj więcej
Na sprzedaż piękna działka urbanistyczna o powierzchni 430 m², położona w strategicznej lokalizacji przy wjeździe do Torremolinos, idealna zarówno do inwestycji, jak i do budowy domu Twoich... Czytaj więcej